Exoten und Garten Forum               Internet Portal für winterharte Exoten


10.017.389 Artikelanzeigen seit dem 12.08.2005

Cordyline indivisa daheim :-)) #AM

Nachricht von Wolfgang(Stade)

Hallo zusammen,
seit gestern Abend wieder zuhause aus dem Urlaub von Fanö, wo wir natürlich Frank besuchten, davon demnächst einige Bilder. Dort durfte ich mir die seit langem versprochene Cordyline indivisa abholen.
Frank,nochmals tausend Dank für das schöne Exemplar.

Anschließend waren wir noch eine Woche auf Fischland/Darß, wo die Cordy den Balkon begrünen durfte.
Heute war es dann soweit: an dem in Gedanken schon ausgesuchten Platz ausgepflanzt.


Ich denke, dass die C. indivisa sich neben den Phormium tenax heimisch fühlen wird.





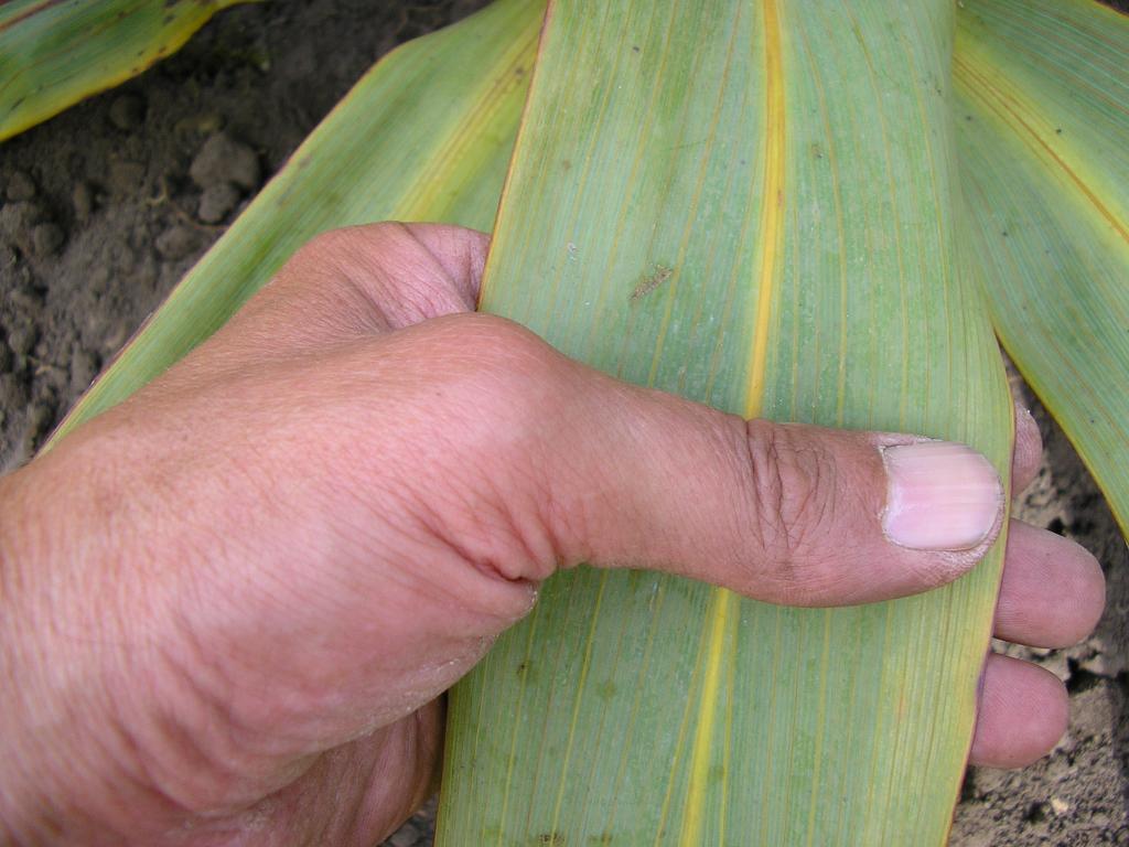
hier ist das Prachtstück- speziell auch noch mal für Manfred/Ffm, der manche C. australis partout zur C. indivisa machen möchte.

Eigentlich kann man die beiden Arten nicht verwechseln.

/*Cordyline indivisa*/


Die Blätter sind deutlich breiter und auch die Relation von Blattbreite zu Blattlänge ist ein anderes. Dazu die gelborange gefärbte Mittelrippe und die gelben Streifen als Unterscheidungsmerkmale.



Jedenfallls bin ich wirklich stolz auf diese Cordyline und hoffe, dass sie einen halbwegs guten Platz bekommen hat. Auf Fanö hat sie gut durchgehalten, war ja ausgepflanzt, dann sollte ihr doch das feuchte Schmuddelwetter Norddeutschlands auch behagen.....
Nach dem nächsten Winter weiß ich mehr.

Zwei Wochen haben gereicht, bei einem anderen Verteter der Südhalbkugel die ersten Blüten zu öffnen.

/*Callistemon citrinus*/




Und zum Schluss noch etwas erfreuliches. Brahea armata hat nach der Speerfäule von der Wärme profitiert und schiebt gesundes Material nach. Das erste Bonsaiblatt ist noch nicht der Hammer, aber das nächste wird wohl zu normaler Größe auflaufen.



viele Grüße
Wolfgang






Exoten und Garten Forum               Internet Portal für winterharte Exoten