Exoten und Garten Forum
Internet Portal für winterharte Exoten
9.821.389 Artikelanzeigen seit dem 12.08.2005
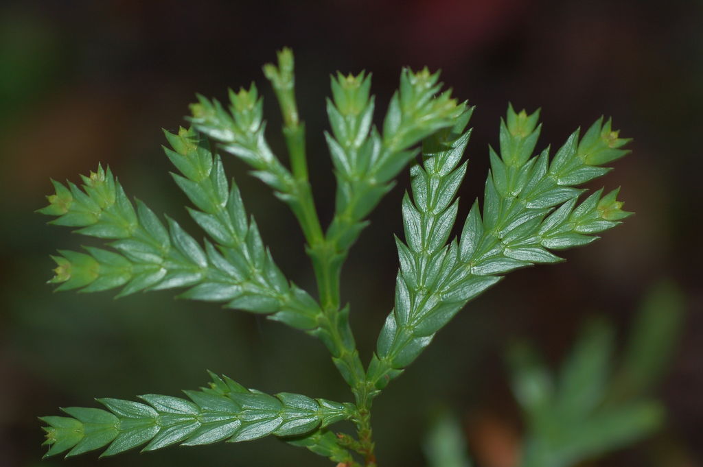
auch Fokienia steckt einiges weg
Nachricht von berndw/7b
/*Fokienia hodginsii*/ erstaunt ebenfalls, auch wenn der letzte Winter einige Blätter gekostet hat

Exoten und Garten Forum Internet Portal für winterharte Exoten